Reef & Wrecks (Tour D), Calamian Islands, (Philippines)
Dernier jour dans l’archipel des îles Calamian ; deuxième tour en bateau : Reef & Wrecks (Tour D).
Comme d’habitude, départ tôt le matin (8 heures).
Aujourd’hui, avec nous, il y a des Sud-Africains, des Anglais, des Américains (d’Hawaï), des Philippins et des Norvégiennes. Nous sommes une bonne douzaine. Pour changer, il fait beau – et chaud.
Beaucoup de bateau aujourd’hui ; les escales sont très éloignées les unes des autres. Personnellement, avec de tels paysages et une météo parfaite, je ne vais pas m’en plaindre.
La premier arrêt est une épave : Lusong Gunboat Wreck.
Il y a énormément d’épaves de navires japonais dans le secteur, coulés durant la Seconde Guerre mondiale, en 1944. Voir le détail sur ce lien. C’est donc une destination de choix pour les plongeurs du monde entier, au même titre que l’île de Sipadan, à Bornéo – où nous sommes allés en 2008.
Cette épave n’est pas profonde (maximum -11 m), donc tout le monde – ou presque – peut en profiter. Personnellement, je me suis régalé ! En plongée libre (apnée), c’est l’une des choses que je préfère… mais cela terrifie Madame !
L’eau est claire ; belle faune, beaucoup de poissons. La nature a repris ses droits depuis longtemps… Évidemment, je me suis fait un plaisir de rentrer à l’intérieur de l’épave (puis en dessous) tout en filmant. Un régal.
J’ai plongé durant une bonne heure dans et autour de l’épave. Un des très bons moments de la journée.
D’autres photos de l’intérieur de l’épave, lugubres pour certaines…
Deuxième étape de la journée : Pass Island.
L’île est paradisiaque !
C’est ici que nous allons prendre notre repas de midi, avec la traditionnelle pause qui va avec.
Nous montons sur les (petites) hauteurs de l’île afin d’admirer la vue. Notre compagnon sud-africain a la bonne idée de s’aventurer là-bas pieds nus… Autant vous dire que, avec la température brûlante du sol, il a mis quelque temps pour revenir sur la plage, s’arrêtant très souvent sur les minuscules carrés d’herbe (cramée) pour donner un peu de répit à sa voûte plantaire ! 😀
Après le festin habituel (poisson, riz, poulet, porc, concombres, mangues, bananes), nous allons faire trempette au bord de la plage. Les fonds sont intéressants mais il y a quelques méduses (inoffensives).
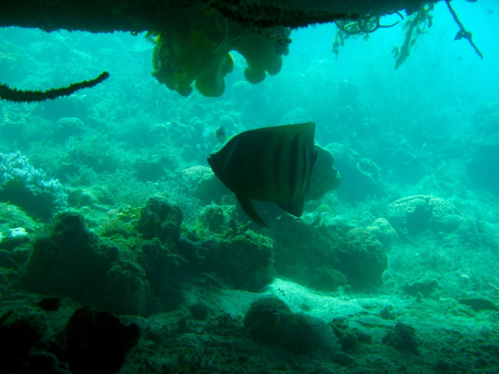
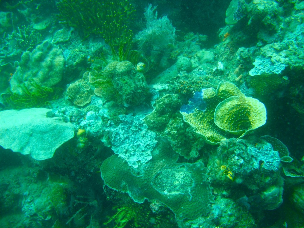
Nous reprenons la mer en direction de Coral Garden.
Les fonds sont, là encore, magnifiques.
Il y a même un joli tombant où, aux environs de -15 m, j’aperçois une tortue faisant la sieste.
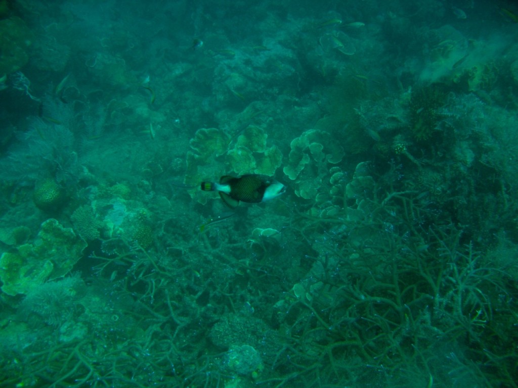
Un triggerfish, très… dangereux !
Enfin, cap sur la 4e et dernière étape du jour : East Tangat Wreck.
Cette épave est nettement plus profonde que la première, celle-ci reposant à -30 m.
Bon, je suis quand même allé me frotter aux plongeurs bouteille, qui ont dû me prendre pour un fou ! 😀
Le retour à Coron sera long (une heure et demie environ), mais toujours aussi agréable. Comment se lasser de tels paysages ?
La journée fut une nouvelle fois idyllique et, à titre personnel, je me suis régalé à plonger à des profondeurs que je n’avais plus connues depuis des années. Je le savais déjà mais c’est bien vrai : on est bien mieux tout au fond…
Je termine avec cette photo, de nuit, de la croix de Coron, sur le mont Tapyas.
Demain, direction El Nido !




































































Wow ! Mais quel ciel bleu ! Quelle mer bleue et verte ! C’est absolument magnifique. Et toutes ces photos prises en apnée… bravo !
Je me suis régalée, des fonds très riches et très beaux, le ciel et ma mer sont d’un bleu……, les photos sont magnifiques, je te sens vraiment heureux dans cet environnement, j’aime…. Bisous
Oui, dès qu’il y a la mer et que je plonge, tout va bien… tu le sais.