El Nido, Tour D, Palawan (Philippines)
Dernier jour à El Nido ; dernier tour en bateau avec le Tour D.
Ce dernier se concentre sur Cadlao Island et son lagon, situés juste en face de El Nido.
Cette fois, nous avons privatisé une bangka pour nous deux. Un peu de tranquillité ne fera pas de mal… Nous avons donc un petit bateau et ses deux membres d’équipage, et nous avons pu choisir le menu de notre repas de midi, parmi ce qui était disponible bien sûr. Évidemment, c’est plus cher, mais on n’est plus à ça près !
Bon, sur ce tour, je ne suis pas du tout sûr de moi quant à l’identification des plages… Si quelqu’un remarque une erreur manifeste, qu’il me corrige ! 😉
Première escale : Bukal Beach.
Pendant que Madame barbote, je tente une grimpette via un sentier adossé au relief. C’est assez raide et périlleux, surtout pieds nus… Jugez plutôt.
Mais la vue vaut le coup !
En tout cas, nous avons passé un bon moment sur cette plage, d’autant plus que – fait inhabituel – nous avions tout le temps nécessaire. En effet, lorsque l’on privatise une bangka, on est un peu considérés comme des « rois ». On n’a aucune contrainte de temps, à l’inverse des tours classiques avec d’autres touristes. Ça a un coût, mais ça vaut le coup !
Nous partons ensuite pour Cadlao Lagoon. Attention les yeux !
Ça a des airs de Big Lagoon, avec des eaux d’une incroyable couleur crème et de magnifiques falaises karstiques.
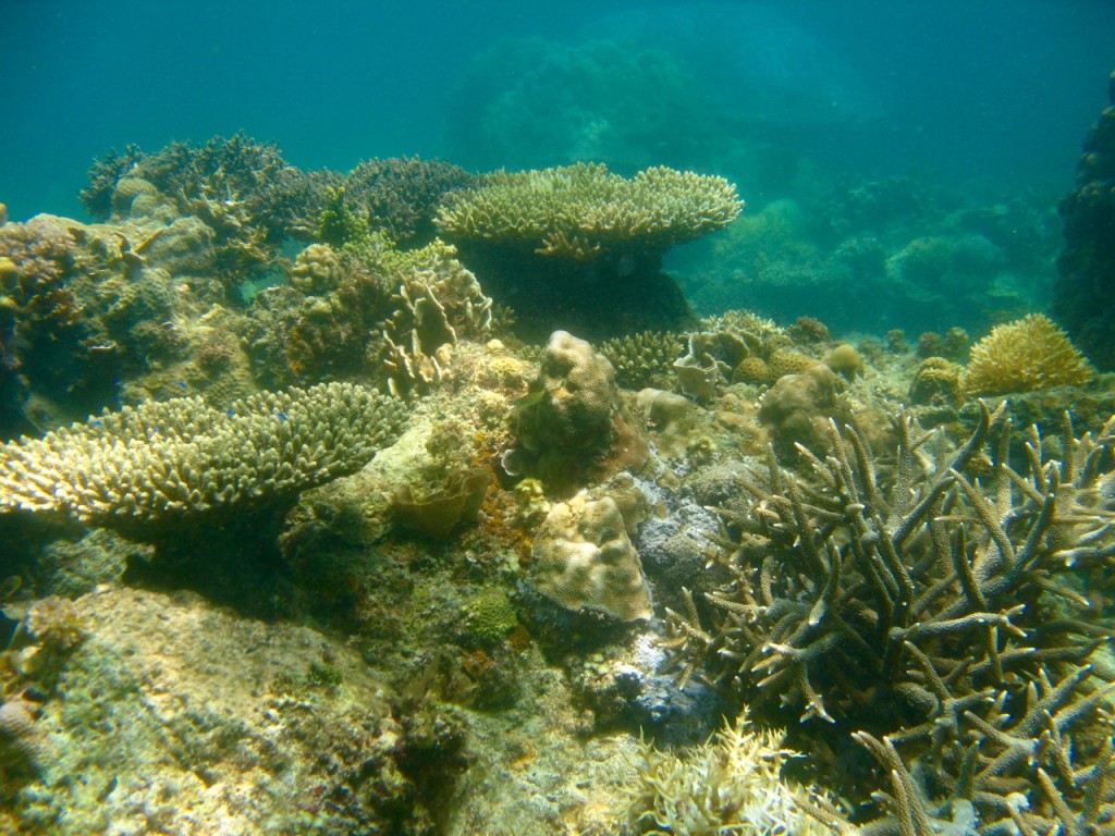
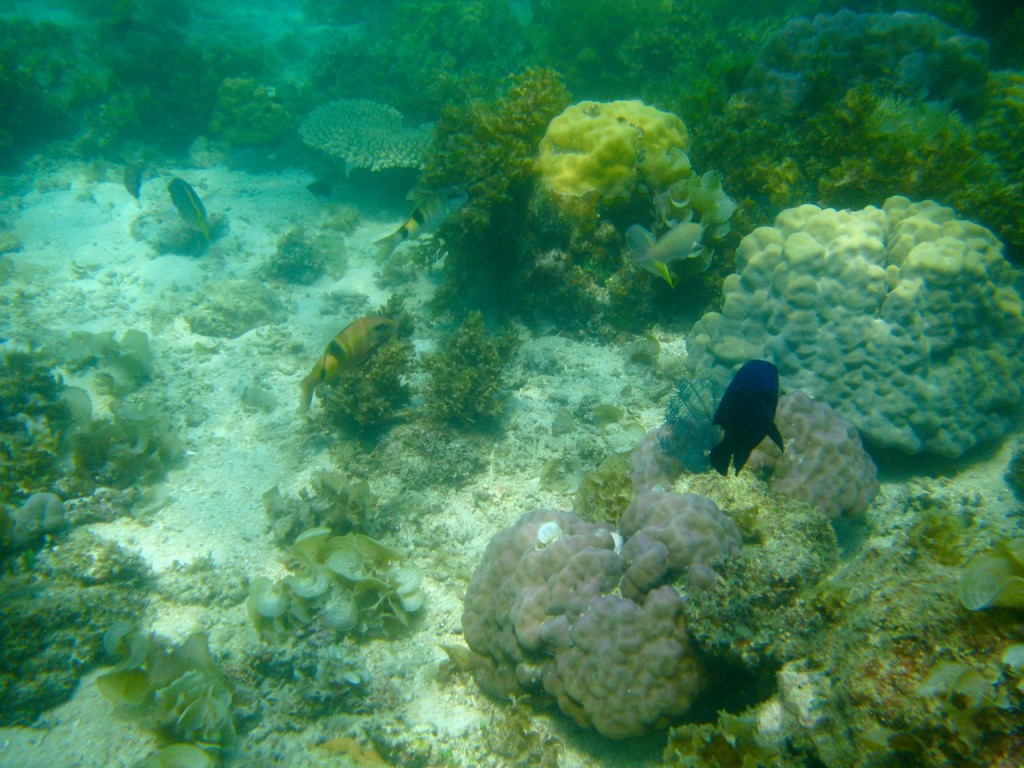
Après ça, nous filons sur un « spot » de plongée (toujours en apnée) dont j’ai oublié le nom… Les fonds sont magnifiques et assez poissonneux.
Regardez cette magnifique méduse ! Photos non retouchées…
Encore une, plus « ordinaire », aperçue bien plus profond.
Le repas de midi est pris sur Pasandigan Beach, où nous sommes seuls.
Mais El Nido ne serait pas El Nido sans les dégâts occasionnés par les excès du tourisme. Cette plage fait partie de celles où il est possible de passer la nuit, et voici ce que l’on y trouve…
Et tout l’arrière-plage est comme ça. À chaque fois que je vois ce genre d’horreurs, je ne peux m’empêcher de penser que, si tout le monde était comme nous – et des milliers d’autres -, tout cela n’existerait pas. C’est un comportement que je ne comprendrai jamais. En passant, à chaque fois je plonge en apnée, je nettoie la mer de toutes les merdes que j’y trouve, à ma toute petite échelle…
Après un bon repas composé de poisson, calamar, riz, poulet, ananas, mangue, etc., nous rejoignons notre prochaine étape : Nat-Nat Beach.
Sous l’eau, c’est pas mal non plus !
J’ai aperçu des plongeurs en apnée (encadrés) partir pour une sortie en mer ; oh que je les aurais bien suivis !
Enfin, nous terminons ce très beau tour par Paradise Beach, une immense plage en arc de cercle adossée aux falaises. Une fois encore, nous sommes presque seuls…
Cet arbre a quasiment poussé dans la pierre !
Au fond, c’est le village de El Nido.
Je termine avec deux belles photos du coucher du soleil, vu de notre chambre…
Ce fut à nouveau une bien belle journée ; mais, cette fois, nous étions au calme, loin de la foule. Un régal.
Demain, nous dirons au revoir à El Nido, mais peut-être pas adieu…











































Tout simplement magnifique. Wahou !
Petite question, vous avez réservez vos tours à El Nido avec quelle société ? Un grand merci d’avance. Ludo
Bonjour,
Hum, bonne question ! De mémoire, je pense que l’on s’était arrangés avec notre resort.